What to do and why the grapes are not bearing fruit
Grapes are not particularly demanding plants when it comes to care. However, if proper agricultural practices are not followed, good fruit production cannot be expected. Therefore, before you begin growing this crop, it's important to understand its care requirements.
To ensure consistent and abundant fruiting of grape bushes, the following steps must be taken:
- periodically apply fertilizers to the soil (both root and foliar);
- perform preventative spraying of plants, which helps to avoid the appearance of parasites and pathogenic microflora;
- carrying out pinching, side-sonning, trimming and other green operations;
- perform proper pruning and watering.
Throughout the season, care for the plants needs to be balanced with weather conditions. If there's a prolonged drought, the plants need more frequent and abundant watering. Otherwise, they won't have the strength and potential to produce a tasty and large harvest. Short-term sprinkling is best.
If you don't follow these recommendations, the harvest will be lost very soon.
The reasons for a reduced yield can be varied. For example, the wrong location for the plants was chosen. The site for this crop should be selected based on the variety and the regional climate.
Most often, there are three main reasons why grape bushes lose fruit:
- Excess organic matter. When using mineral and organic fertilizers, it is important to maintain the correct dosage;
- illiterate pruning;
- freezing of bushes in winter.
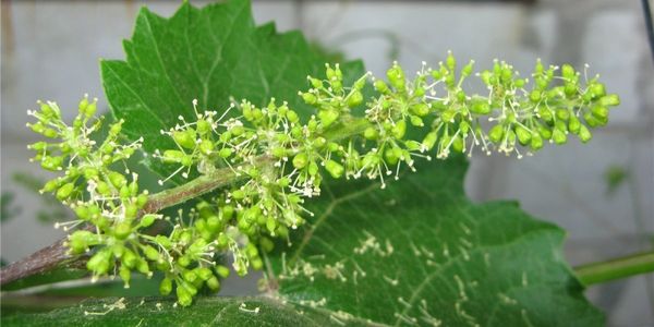
Pollination is also important, as without it, the harvest will not develop. If planted varieties exhibit poor pollination, this procedure can be performed artificially using brushes and panicles. This approach can increase the yield by approximately 40%.
Only by identifying the exact reason why the vines have stopped producing can you understand what to do. By correctly identifying why the grapes aren't bearing fruit, you can correct the situation and ultimately get a decent, if not large, harvest.
Video: "Breaking Grape Shoots"
This video will show you how to pinch off grape shoots.


